Šiaulių Gubernijos karinis miestelis

Adresas: Šiaulių sav., Šiauliai, Pakruojo, J.Basanavičiaus, Vaidoto, Žemaitės g.

Šiauliuose, invalidų komanda įkurta 1811 m. Pradžioje, kaip ir kitur kariuomenė dislokuota privačiuose namuose[1]. 1835 m. suprojektuota medinė sargybinė Šiauliuose. Tai vieno aukšto klasicistinis medinis pastatas. Kur jis stovėjo, duomenų nerasta[2]. 1866 m. dokumentuose minima, kad Šiauliuose yra 182 tarnaujantys kareiviai ir 82 rezervininkai[3]. 1872 m. patvirtintas naujas Šiaulių planas. Jo aiškinamajame rašte minimos vidaus kariuomenės kareivinės[4]. Plane kareivinės pavaizduotos dvaro sodybos teritorijoje, tačiau jos ten nebuvo pastatytos. Iš tikrųjų kareivinės buvo pastatytos dvaro teritorijoje, bet toliau į šiaurės rytus, plote, prie dab. Dvaro g. ir P. Lukšio (buv. Kareivinių g.) gatvių. Kareivinių pastatai pažymėti planuose, kuriuose užfiksuota XX a. pradžios būklė. Vokiečių kariuomenės žemėlapiuose minėtoje vietoje pažymėta 11 pastatų[5]. 1896 m. minima, kad Šiauliuose buvo 113-ojo Senojo rusų (Starorusskij) pėstininkų pulko štabas[6].

Lietuvos kariuomenės 3-čias pėstininkų pulkas 1919 m. buvo apgyvendintas odų fabriko rūmuose, už miesto, prie Tilžės plento[7]. 1921 m. Šiauliuose dislokuotas 8 pėstininkų Kauno kunigaikščio Vaidoto pulkas, jo štabas įsikūrė grafo Zubovo dvaro oficinoje Aušros alėjoje.  Pirmosios naujų kareivinių statybos artilerijos pulkui Šiauliuose numatytos 1923 m. 1924 m. apie Šiaulius, rašoma, kad taikos metu numatomos stovėti šios dalys:

1. Aštuntasis pėstininkų pulkas, kuris dabar visas telpa privačiuose namuose, teigiama, kad iš Žemės ūkio ministerijos Gubernijos dvare gauta apie 108 ha žemės, kurioje pradedami statybos darbai. Pažymima, kad šiuo metu statybos skyriaus matininkas matuoja plotą, pavestą Krašto apsaugos ministerijai ir niveliuoja numatomų statybų vietą, iš Alytaus vežamos septynios medinės kareivinės.

2. Mobilizacijos rajonas, įsikūręs privačiuose butuose, jam trobesius numatyta statyti mieste arba aštuntojo pulko rajone.

3. Intendantūros sandėliai, esantys privačiuose Frenkelio namuose ir viename valdiškame barake. Ką nors keisti nenumatoma.

4. Intendantūros centrinė kopūstų raugykla, esanti Gubernijoje privačiuose namuose. Nenumatoma statyti atskirų saugyklų.

5. Artilerijos sandėliai, užimantys Zoknių dvare dar vokiečių kariuomenės statytus pastatus. Prie sandėlių privesta geležinkelio atšaka. Numatyta nusavinti žemę ir praplėsti sandėlių plotą.

6. Aerodromas, (vokiečiai kaip aerodromą naudojo Zoknių dvaro laukus). Ketinta parinkti jam vietą viename iš parceliuojamų dvarų ir gauti žemės Krašto apsaugos ministerijos nuosavybėn[8].

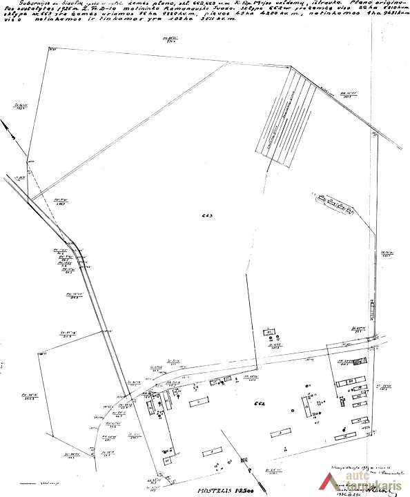
1925 m. Šiauliuose 8 pėstininkų pulko teritorijoje numatyta skirti lėšas šių pastatų statybai: karininkų fligelio, arklidės 72 arkliams, ketvirtų kareivinių, dviejų virtuvių, vieno sandėlio, trijų betoninių išeinamųjų vietų[9]. Šiaulių apskrities Gubernijos rajone kariškų pastatų statybos darbai pradėti 1926 m. Statybinės medžiagos tada buvo labai brangios, nuspręsta griauti Varėnos lagerio trobesius ir medžiagą gabenti į Šiaulius. Todėl teko taikytis prie senojo jų išplanavimo, ką nors keisti buvo neįmanoma. Todėl šios kareivinės neturėjo jokių modernių patogumų: centrinio šildymo, vandentiekio, kanalizacijos, dušų, ventiliacijos. Išplanavimas buvo prastas, tai buvo nepatogūs gyventi kelių didelių patalpų pastatai[10]. 1931 m. Gubernijos priemiestyje jau aprašoma gražiai tvarkoma 8-tojo kunigaikščio Vaidoto pulko teritorija, kuri apsodinta medžiais, minima naujo karininkų fligelio statyba[11]. 1934 m. Gubernijos rajone buvo statomi rūsys su ledaine, pašaro sandėlis, 5 gurguolės sandėliai, sviedinių sandėlis, dirbtuvių kalvė, Zokniuose vyko karo aviacijos kareivinių statyba[12]. 1925 m. matininko J.Ramanausko sudarytame ir 1938 m. papildyto Šiaulių Gubernijos kareivinių rajono plane parodyta 30 pastatų (neskaičiuojant šulinių ir pan.) Jų tarpe mūrinių pastatų užfiksuota 12. – karininkų korpusas, ginklų sandėlis, du rūsiai, amunicijos sandėliai, kitų paskirtis nežinoma. Kariuomenei priklausanti teritorija suskirstyta į du didelius sklypus – vienas į pietus nuo siaurojo geležinkelio linijos (dab. Pakruojo g), jo plotas nurodytas 22 ha 5810 kv. m, antras – į šiaurę nuo geležinkelio, 102 ha3511 kv. m ploto. Pastatai išsidėstė pietiniame sklype, šiaurinis sklypas buvo skirtas kariuomenės pratyboms[13].

Iki 1941 m. numatyta statyti 8 pėstininkų pulkui valgykla su virtuve, arklidės, amunicijos sandėlis, pabūklų garažas, Karo sanitarijos valdybai Šiauliuose gurguolės sandėliai dezinfekcijos kameroms ir sanitariniams vežimams laikyti, tačiau šių planų atsisakyta[14]. 1944 m. vokiečių aerofotonuotraukoje Šiaulių Gubernijos rajone užfiksuotas 21 išlikęs (su stogu) pastatas. Pratybų lauke į šiaurę nuo pastatų zonos matoma didžiulė šaudykla. Šiaurės rytiniame lauko pakraštyje, Kulpės upelio pakrantėje išliko 6 kovinių atsargų sandėliai. Aerofotonuotraukoje matomas siaurasis geležinkelis į Biržus, ėjęs Pakruojo gatvės šiaurine puse[15].

Iki mūsų dienų Gubernijos rajone išliko 7 autentiškos išvaizdos ir tys pertvarkyti pastatai, taip pat pamatai. Teritorijoje išliko pravažiavimų tinklas, grioviai su vandens pralaidomis, daug didelių medžių. Nemažą dalį užima pramoninės-ūkinės paskirties pastatai, keli pastatai priklauso Lietuvos kariuomenei, bet jos nenaudojami. Yra gyvenamų namų. Vakarinėje teritorijos dalyje apie 1950-1955 m. pastatytas gyvenamųjų namų kompleksas sovietų karininkams su šeimomis. Naudoti tipiniai projektai.

Istorinė Gubernijos karinio miestelio teritorija apribota dabartinėmis Pakruojo, Vaidoto, Žemaitės, J.Basanavičiaus gatvių. Pratybų poligonas plytėjo iki Kulpės upės. Keletas karinio miestelio pastatų vert būti įrašyti į LR Nekilnojamųjų kultūros vertybių registrą – tai karininkų gyvenamasis korpusas J.Basanavičiaus g., Karininkų klubo su valgykla pastatas Pakruojo g. 49. Verti dėmesio raudonų plytų ginklų sandėlis Pakruojo g. bei sklypo gilumoje stovintis fachverko konstrukcijų namas (dabar gyvūnų prieglauda), medinis gyvenamasis namas Pakruojo g. 47.

Nijolė Steponaitytė


[1] Internetinė prieiga: www.antologifo.narod.ru.

[2] Проект гауптвахты в г. Шавли. KAA, F. 473, ap.2, b. 228, l. 1.

[3] Ведомoсть о нижних чинах состоящих в уездных командах Ковенской губернии. KAA, f. 473, ap. 1, b. 3648, l. 89.

[4] Apie patvirtintą Šiaulių planą. KAA, f. 473, ap.1, b. 3991.

[5] Karte des westlichen Russlands, M 1:100000. 1917, Szawle. KAVB, RSS.

[6] Памятная книжка Ковенской губернии. Ковна, 1896, cтp. 107.

[7] Surgailis, G. Trečiasis Pėstininkų DLK Vytauto pulkas. Vilnius, 2013, p. 122.

[8] Žinios apie kariuomenės trobesių ir žemės stovį dabartiniu metu. LCVA, f., 929, ap. 3, b. 477.

[9] 1925 m. planuojamų statybų sąmata Šiauliuose 8 pėstininkų pulkui. LCVA, f. 929, ap. 3, b. 529, l. 70.

[10] V.V. Karo butų valdyba sulaukė jau 18 metų. Kardas, K. 1937. Nr. 9, P. 215-217.

[11] Karys, 1931, Nr. 35, p. 703.

[12] 1935-1936 m. numatytų užbaigti naujų statybų sąrašas. LCVA, f. 929, ap. 9, b. 103, l. 22-23.

[13] Gubernijos rajono karinio rajono planas. LCVA, f. 512, ap. 1, b. 18, l. 44.

[14] Karo butų valdybos viršininko iki 1941 m planuojamų užbaigti naujų statybų sąrašas. LCVA, f. 929, ap. 9, b. 103, l. 22-23.

[15] Internetinė prieiga: www.maps4u.lt.

Metai:
1920 - 1940
Teritorijos:
Atgal į sąrašą